MLS # 2268589
6 +/- acres are open and include a small barn with stalls; 1935 ft of paved county road frontage; with municipal water and electricity at the road. Conveniently located to Murfreesboro, Franklin and Nashville and just ten minutes from I-840 (Triune exit). Please feel free to walk the property during daylight hours.
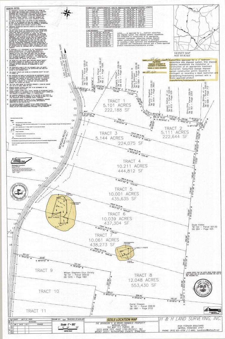
TRACTS 1, 2, 3, 4 & 5: to be sold "pick and choice"
TRACTS 6, 7 & 8: (32 +/- acres) have a combined perk site suitable for a 5 BR home. To be sold together.
DIRECTIONS: From I-24, take Exit 80 (toward Eagleville), continue on State Hwy 99 W / New Salem Road for approx. 4 miles, (R) onto Veterans Parkway, (L) onto Windrow Road, (R) onto Patterson Road, (L) onto Morgan Road, property will be on the (L).
TERMS: Sold on location. 10% Buyer's Premium. 10% NON-Refundable down payment due day of sale. High bidder to sign Purchase and Sale Agreement. Balance due on or before August 20, 2021. (Please have all financial arrangements made prior to the sale. No financial contingencies.) 2% Broker Participation. Possession: with deed. Property Taxes: pro-rated.








